Artykuł
Szanowni Państwo,
Gmina Dołhobyczów ma ogromne, niewykorzystane dotychczas, możliwości rozwoju, szczególnie sektora rolno-spożywczego oraz turystyki. Peryferyjne położenie wzdłuż granicy z Ukrainą, jest szansą dla naszej gospodarki. Uruchomienie, w najbliższej przyszłości, przejścia granicznego Polska – Ukraina w Dołhobyczowie jest dodatkowym atutem inwestowania w naszej gminie. Ziemia nasza należy do najżyźniejszych w Polsce. Rolnicy produkują zdrową, ekologiczną żywność. Dołhobyczów ma ciekawą i bogatą historię. Cała nasza okolica jest pełna symboli żyjących tutaj do 1945 roku wielu narodów. Miejsce to ciche i tajemnicze. Kraina pełna wzgórz, w żaden sposób nie skażona cywilizacją. Przez obcych nazywana "Polską egzotyczną" ze względu na dziewiczą przyrodę, kolonie susła perełkowanego, zwierzynę łowną w lesie oraz największą w Europie dziką rzekę Bug, obfitującą w ryby.
Władze gminy poszukują inwestorów do tworzenia lokalnej infrastruktury turystycznej, przemysłu rolno – spożywczego. Zapewnią dostępność terenów pod inwestycje, podejmą planowe działania promocyjne gminy, udzielą wsparcia dla inicjatyw prowadzących do poprawy jakości życia wszystkich mieszkańców.
Działki inwestycyne na terenie Dołhobyczowa
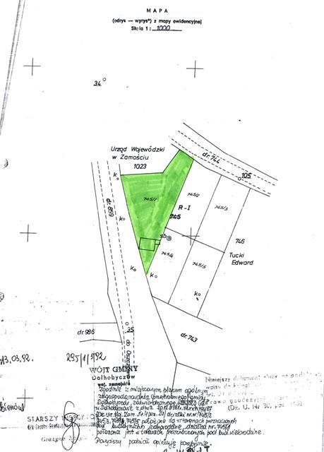
Działka nr 745/1 - powierzchnia 1483m² - nieruchomość budowlana położona w Dołhobyczowie. Zgodnie ze studium uwarunkowań i zagospodarowania przestrzennego to teren ośrodka gminy w granicach planowanego miasta. Zgoda Ministra na odrolnienie. Cena 19 130,00zł netto+ 23% VAT.

Działka nr 745/2 - powierzchnia 821m² - nieruchomość budowlana położona w Dołhobyczowie. Zgodnie ze studium uwarunkowań i zagospodarowania przestrzennego to teren ośrodka gminy w granicach planowanego miasta. Zgoda Ministra na odrolnienie. Cena 10 590,00zł netto+ 23% VAT.

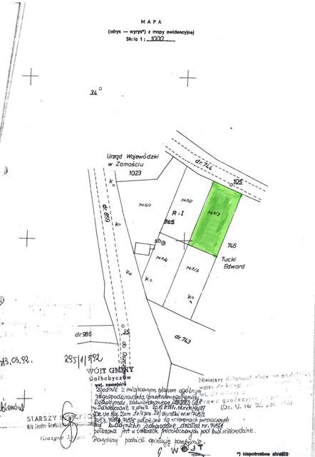
Działka nr 745/3 - powierzchnia 813m² - nieruchomość budowlana położona w Dołhobyczowie. Zgodnie ze studium uwarunkowań i zagospodarowania przestrzennego to teren ośrodka gminy w granicach planowanego miasta. Zgoda Ministra na odrolnienie. Cena 10 490,00zł netto+ 23% VAT.

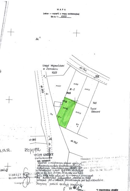
Działka nr 745/4 - powierzchnia 760m² - nieruchomość budowlana położona w Dołhobyczowie. Zgodnie ze studium uwarunkowań i zagospodarowania przestrzennego to teren ośrodka gminy w granicach planowanego miasta. Zgoda Ministra na odrolnienie. Cena 8 590,00zł netto+ 23% VAT.

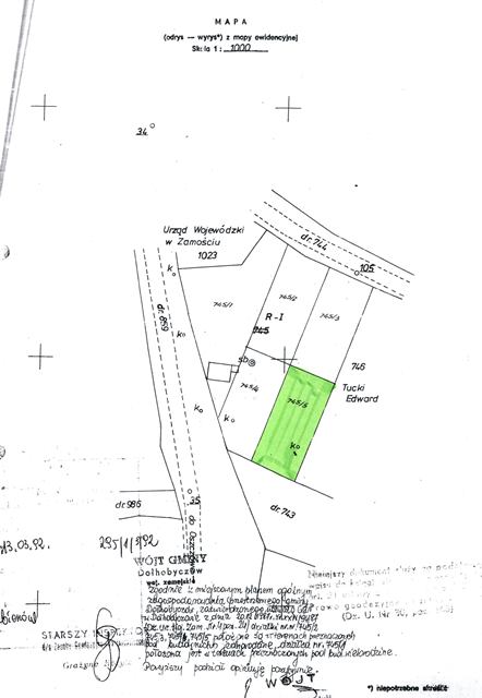
Działka nr 745/5 - powierzchnia 822m² - nieruchomość budowlana położona w Dołhobyczowie. Zgodnie ze studium uwarunkowań i zagospodarowania przestrzennego to teren ośrodka gminy w granicach planowanego miasta. Zgoda Ministra na odrolnienie. Cena 9 290,00zł netto+ 23% VAT.

Działka nr 305/3 - powierzchnia 2,6816ha - zgodnie ze studium uwarunkowań i zagospodarowania przestrzennego to teren rolniczej przestrzeni produkcyjnej.

Działka nr 303/19 - powierzchnia 3,2550ha - zgodnie ze studium uwarunkowań i zagospodarowania przestrzennego to teren rolniczej przestrzeni produkcyjnej. Zgoda Ministra na odrolnienie.

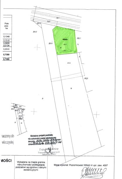
Działka nr 281/7 - powierzchnia 1349m² - nieruchomość budowlana położona w Dołhobyczowie przy ul. Hrubieszowskiej. Zgodnie ze studium uwarunkowań i kierunków zagospodarowania przestrzennego to teren obsługi ruchu drogowego i turystyki motorowej. Księga wieczysta Nr 57229. Cena 30 810,00zł netto+ 23% VAT.

Działka nr 282/2 - powierzchnia 1200m² - nieruchomość budowlana położona w Dołhobyczowie przy ul. Hrubieszowskiej. Zgodnie ze studium uwarunkowań i kierunków zagospodarowania przestrzennego to teren obsługi ruchu drogowego i turystyki motorowej. Księga wieczysta Nr46841. Cena 27 410,00zł netto+ 23% VAT.

Działka nr 282/3 - powierzchnia 1,8600ha - nieruchomość budowlana położona w Dołhobyczowie przy ul. Hrubieszowskiej. Zgodnie ze studium uwarunkowań i kierunków zagospodarowania przestrzennego to teren obsługi ruchu drogowego i turystyki motorowej.








